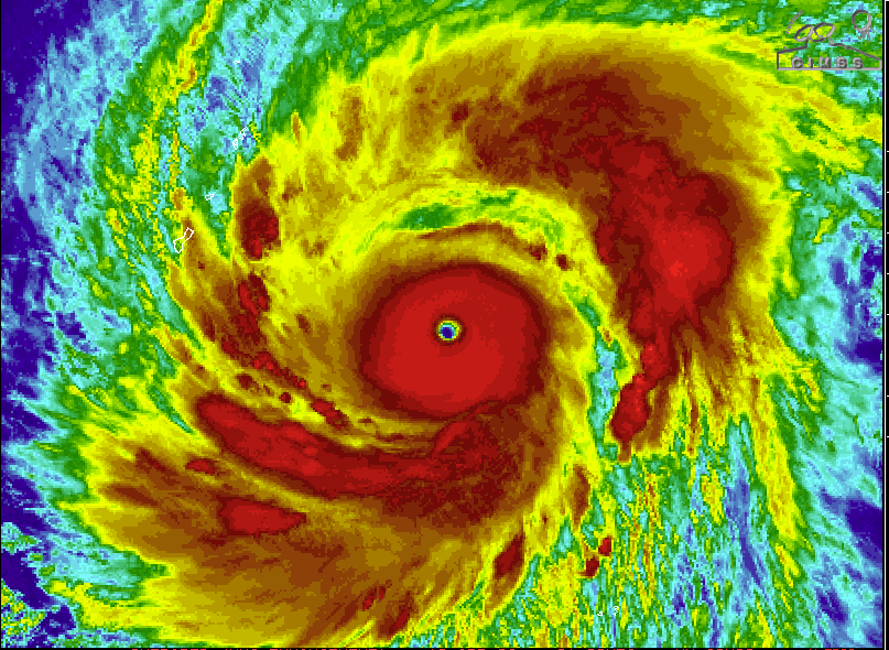
Super Typhoon Sinlaku nears Guam and Northern Marianas

Super Typhoon Sinlaku nears Guam and Northern Marianas

San Francisco Chronicle general

Key Points:

  • Greg Porter is a senior newsroom meteorologist at the San Francisco Chronicle. Porter comes to Chronicle after seven years working as a meteorologist for the Capital Weather Gang at the Washington Pos

Trending Business

Trending Technology

Trending Health